佐手 photo 


2005.6.26(sun)14:50-15:15 中潮 曇り後大雨

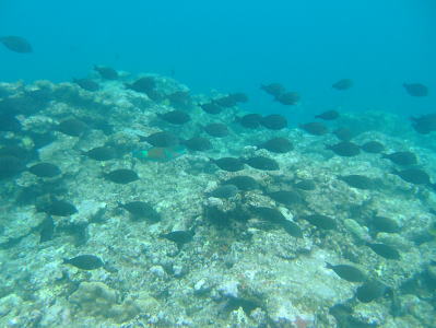
辺戸岬に向かう途中までは晴天に恵まれていたものの、この佐手に来て突然の豪雨。車の運転も危ないほどで、しばらく道端で休憩。今年は6月27日が梅雨明けで、後から思えばあれが降り収めの雨だったらしい。河口の橋の下で遊んでいる子供たちがいただけ。辺戸岬からの帰りに再び寄ってちょっとだけ潜ってみました。潮が引いていたのでリーフエッジまで歩いて行ってエントリー。岩の間を抜けていくと途端に黒い魚の大群が現れてびっくり。条件は最悪でしたが楽しめました。この時は素潜りで何かを採っている人がいました。水深2〜7m。

チョウハン ツノダシ ミスジチョウチョウウオ
オヤビッチャ