多少流れがあるようでしたが、入れば問題なし。水温も低めながら、ちょうど天候に恵まれたのとフルスーツで慣れれば大丈夫。やはりこの時期らしく透明度は抜群で、短時間で美しいブルーの海を堪能できました。入った途端にコブシメがいたりと、初めての魚まで見ることができて満足。観光客は時々やって来る程度。シュノーケラーはなし。駐車場代500円は変わらず。
写真準備中
今回は、相当久しぶりの谷茶ベイに宿泊。サービスの行き届いたロイヤルフロアは快適に過ごせました。これまた相当久しぶりにテニスをしたり、星空の見える露天風呂に入ったりと満喫。午前中は、近くの真栄田岬にトライしてみるものの、波ありで今日も断念。結局、最近定番になった外れのないここにやってきました。前回以上に韓国人シュノーケラー多数。水温は入ってしまえば大丈夫。長時間だと寒くなる程度。潮の加減もちょうどよくて、素晴らしい水中風景を満喫できました。相変わらず魚の種類も数も豊富。駐車場代500円は変わらず。途中のゴリラチョップも今日は波穏やかでした。そちらはダイバー多し。水深0.5−2.5m。
![]() |
![]() |
![]() |
|
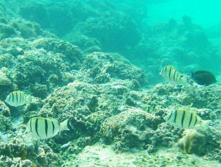
| フウライチョウチョウウオ | |||
![]() |
![]() |
||
| ミスジリュウキュウスズメダイ | ルリスズメダイ | トゲチョウチョウウオ | |
![]() |
![]() |
![]() |
![]() |
| シマハギ | ミナミハコフグ | ||
![]() |
![]() |
![]() |
![]() |
| ツノダシ | チョウハン | ||
今回は、美ら海水族館のすぐ近くに昨年オープンしたモトブリゾート&スパに宿泊。この時期でまだ梅雨には入っておらず、ベランダからは水族館のオキちゃん劇場、備瀬崎が両方見渡せ、目の前はエメラルドビーチ、奥には伊江島という絶景でした。朝の散歩では、まだ観光客も来ない水族館のウミガメやイルカを独占。癒されました。翌日はフクギ並木を散策と徒歩圏内で十二分に楽しめてしまいます。備瀬崎も車ですぐ。500円の駐車料金は変わらず。観光客は結構たくさん来ていました。シュノーケラーは数人。入りは冷たいものの入ってしまえば問題なし。大潮干潮のため、相当潮が引いていて透明度はいまいち。今回は岬の東側の浅瀬にも行ってみました。ムラサメモンガラの大群や、ミノカサゴが泳いでいるのを間近ではっきり見ることができたのが収穫。今までは中国系の観光客が多かったですが、今回は韓国系の観光客が多数。ホテルもここは韓国か?と勘違いしてしまいそうになるほど韓国語があちこちで飛び交っていてびっくりしてしまいました。翌日も海沿いを散歩ていると、レンタカーを運転する韓国人ファミリーにシュノーケリングポイントの備瀬崎はこの先ですか?と聞かれてしまいました。水深0.5〜1.5m。
![]() |
![]() |
![]() |
|
| ロクセンスズメダイ | ルリスズメダイ | ||
![]() |
![]() |
||
| ミノカサゴ | ミスジリュウキュウスズメダイ | フウライチョウチョウウオ | |
![]() |
![]() |
![]() |
![]() |
| チョウハン | ツノダシ | アケボノチョウチョウウオ | |
![]() |
![]() |
![]() |
![]() |
| カゴカキダイ | オヤビッチャ | シマハギ | ムラサメモンガラ |
本日も朝方、ビーチタワーホテルのベランダから眺めたところ、砂辺は波あり。その後、訪れた瀬良垣の御菓子御殿で裏のビーチが大荒れの様子を見て真栄田岬も断念。読谷、恩納、名護と産直市場巡りをした後、ゴリラチョップは穏やかな感じを眺めつつ素通りして、久しぶりに間違いなしのこのポイントに行ってきました。水温は低めながら、フルスーツを着ていれば問題なし。干潮で透明度もよく、目の前でたくさんの熱帯魚が見られて癒されました。シュノーケラー、観光客数人。潜った後で、海中の様子に興味深々の親子連れに話しかけられました。今回はついに、おじさんに駐車料金500円を払いました。水深0.5〜1.5m。その後は、定番の水族館のオキちゃん劇場を見に行きましたが、とんでもない人出で超満員。
![]() |
![]() |
![]() |
|
| ツノダシ | |||
![]() |
![]() |
||
| ミスジリュウキュウスズメダイ | チョウハン | ||
![]() |
![]() |
![]() |
![]() |
| ムラサメモンガラ | |||
![]() |
![]() |
![]() |
|
| トゲチョウチョウウオ | シマハギ | ||
水族館に行った後、このお気に入りポイントに。水温は結構冷たかったですが、しばらくなら何とかOK。エントリーすればすぐにサンゴや魚の群れが見られるので、短時間でも十分楽しめるのが好き。初めて間近でミノカサゴを見ることもできました。波なし。流れもほとんどなし。風がなかったので、上がってからもさほど寒く感じませんでした。4月1日から有料駐車場で500円と書いてありましたが・・・どこで払うのか?結局払わず仕舞。シュノーケラー、釣り人、観光客など。水深0.5−2m。今日も帰りに極旨「新垣ぜんざい」を堪能。鯉のぼりならぬ鰹のぼりが近くの川の上に掛けられていて何とも楽しい光景を目にすることもできました。さらに名護の「はい菜!やんばる市場」を初訪問。今までよく通っていた許田の道の駅より、広くて品数も多く、ウキウキです!紅イモムーチー、海ブドウも安い!サーターアンダギーもおいしそう。旨いもので一杯。これは定番コースに完全に仲間入りしました。
![]() |
![]() |
![]() |
|
| フウライチョウチョウウオ | |||
![]() |
![]() |
||
| ミスジリュウキュウスズメダイ | ミスジチョウチョウウオ | ミノカサゴ | |
![]() |
![]() |
![]() |
![]() |
| ムラサメモンガラ | |||
![]() |
![]() |
![]() |
![]() |
| チョウハン | |||
新垣ぜんざいでお持ち帰りをして、きれいな海を眺めながら食べるはずが、かなりの気温の高さにもうかなり溶けてしまってました。残念。今回は今までで一番の干潮。完全に小島とは地続きになっていました。最初は泳ぐのが困難なほどの浅さで、流れも相当あったので、小さなタイドプール内にエントリー。水温は意外と高め。ただし、透明度はいまいち。潮が多少満ちてくると、ちょうどいい流れに乗っていつもの場所まで行って楽しめました。潮が流れ始めると透明度も良くなります。お手軽に短時間で楽しめる好ポイント。少し風があったので上がると少し肌寒かった。観光客や地元の人たちがちょくちょくやってきます。水深0.5〜1.5m。
![]() |
![]() |
![]() |
|
| アケボノチョウチョウウオ | ミスジリュウキュウスズメダイ | ||
![]() |
![]() |
||
| フウライチョウチョウウオ | ネッタイスズメダイ | ミスジチョウチョウウオ | |
![]() |
![]() |
![]() |
![]() |
| トゲチョウチョウウオ | ルリスズメダイ | チョウハン | ハリセンボン |
今回も結構流れがあるように見えましたが、前回に比べると水中ではさほど感じない程度。泳がなくてもゆっくり進んでグラスボートに乗っているよう。遠浅なので流されても心配なし。対岸の小島まで普通に泳いでいけました。透明度はよく、水温はエントリー時は冷たいものの、慣れれば平気な程度。魚の種類は意外に豊富。海中風景は瀬底に似ているが、お手軽かつ地形の面白さもあってこっちの方が好きかも。波もなく穏やか。フルスーツのシュノーケラー1人。観光客や地元の人たち十数人。水深1〜2.5m。
![]() |
![]() |
![]() |
|
![]() |
![]() |
||
| ミスジリュウキュウスズメダイ | チョウチョウウオ | ツノダシ | |
![]() |
![]() |
![]() |
![]() |
| トゲチョウチョウウオ | シマハギ | ||
![]() |
![]() |
![]() |
![]() |
| チョウハン | フウライチョウチョウオ | ||
![]() |
|||
朝から快晴で昼頃には汗ばむほどの陽気。駐車場に車をとめて細い小道を入ると北側の海が一望できる場所があり、そこの眺めも格別。おばあたちが絵描きをしていました。エントリーしたのは駐車場からすぐ下の浜。水温は高めで透明度はそれほどでもないものの、ツノダシの群が間近で見られて感動。薔薇の花のような不思議な生物?もいたりと魚の種類も結構豊富。対岸の小島の方へも行ってみようとしましたが、ちょうど中間あたりの深みは東から西へかなりの急流で逆行して進むことは困難なほど。諦めて手前の浅瀬で楽しみました。帰る頃には地元の若者たちがたくさん集まってきて遊ぶ姿が見られましたが、さすがに海に入る人はだれもなし。観光客はたまに景色を見に来る程度。水深0.5〜3m。